
TBD Buck Creek Way
TBD Buck Creek Way, Powell, WY · Park
5.94
Acres
Ranch / Land
Type
About This Property
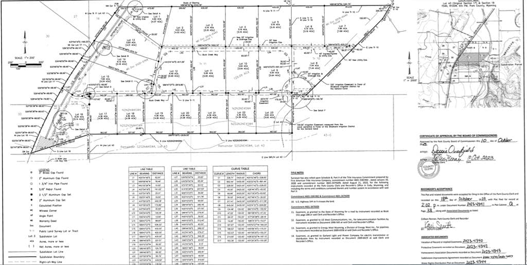
Located in the Buck Creek Estates Subdivision, this lot is extraordinary! Approximately 13 Miles from Cody and 12 Miles from Powell. This lot features captivating panoramic mountain views and gas and electric to the lot line. The paved road is also a unique addition. Lot #9 features approx. 5.94 deeded acres and 4.56 irrigated acres. Make this lot yours! Call today for a private tour! Agents related to seller.
Estimated Monthly Payment
$1,306/mo
Estimate only. Based on 7.0% rate, 30-yr fixed, 20% down. Actual rates, taxes, insurance, and HOA may vary. Does not include PMI. Consult a lender for accurate figures. Source: standard amortization formula per §18.2.11.
Park County Market Snapshot
$685K
Median Price
18
Avg Days on Market
47
Active Listings
This property is listed at $189,900 — 72% below median for Park County.
Source: Real Estate Outlaws market analysis. Not MLS data. Data approximate and subject to change.
Property Details
Listed by 307 Real Estate · 307-587-4959 · Agent: Haylee Nieters
Source: Northwest Wyoming Board of REALTORS® MLS
Location
Living in Powell, Wyoming
Airport Access
About 25 miles to Yellowstone Regional Airport (COD), 30 min drive
Yellowstone
About 77 miles to Yellowstone East Gate, 1.5 hr drive
Recreation
Homesteader Museum, Yellowtail Wildlife Habitat, Heart Mountain Interpretive Center
Schools
Contact us for details on local schools and districts in the Powell area
Source: distances are approximate and based on typical driving conditions. Verify with local resources.
Curated For You
Similar Properties
Properties matched by type, price range, size, and location
Want to See This Property?
Schedule a showing or ask us anything. We know the area like the back of our hand.
Listing information deemed reliable but not guaranteed. Listing data provided by the Northwest Wyoming Board of REALTORS® MLS. IDX information is provided exclusively for consumers' personal, non-commercial use and may not be used for any purpose other than to identify prospective properties consumers may be interested in purchasing.
© 2026 Northwest Wyoming Board of REALTORS®. All rights reserved.





